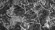
Рис. 2. Перлит (темный) и вторичный цементит (светлая сетка) в заэвтектоидной стали.