Культуры тканей, эксплантация (биол.), метод длительного сохранения в живом состоянии клеток, тканей, небольших органов или их частей, выделенных из организма человека, животных или растений. Первые успешные опыты по К. т. осуществил в 1907 американский учёный Р. Гаррисон, поместив в каплю лимфы кусочек зачатка нервной системы зародыша лягушки. Клетки зачатка оставались живыми несколько недель, из них вырастали нервные волокна. Метод К. т. был усовершенствован французским учёным А. Каррелем, американским — М. Берроузом. русским учёным А. А. Максимовым и др., использовавшими в качестве среды плазму крови и вытяжку из тканей зародыша. Основное условие успешного осуществления К. т. — строгое соблюдение стерильности. При культивировании кусочков органов выяснен ряд вопросов гистогенеза и генетических отношений между тканями (Н. Г. Хлопин, 1940), чувствительности их к разным воздействиям и др.
Существенный сдвиг в развитии метода К. т. произошёл в связи с установлением возможности культивирования клеточной взвеси, получаемой из любой ткани под воздействием протеолитического фермента трипсина, растворяющего межклеточное вещество. Для таких клеточных культур используется синтетическая жидкая питательная среда, содержащая физиологический раствор, 12 аминокислот, витамины, глюкозу и, как правило, сыворотку крови (2—10%); обязательно добавление к этой среде антибиотиков — пенициллина и стрептомицина. Для К. т. используются в зависимости от конкретных задач разнообразные сосуды: стекла с углублением (для К. т. в висячей капле), флаконы, пробирки, матрасы, большие сосуды типа ферментеров. Клетки взвеси прикрепляются к стеклу сосудов (стационарные однослойные культуры) или остаются во взвешенном состоянии во вращающихся сосудах (суспензионные культуры). Для культуры органов пользуются средой, состоящей из агара или желатины на физиологическом растворе с добавлением указанных выше компонентов. Иногда органы культивируют на поверхности желточной оболочки куриного яйца или на пластмассовом фильтре с мельчайшими порами—«плоте» (рис. 1).
В зависимости от степени приспособления к условиям существования вне организма клеточные культуры делят на 3 категории: 1) первичные культуры, которые могут быть получены практически из любого органа, однако даже при систематической смене питательной среды (т. н. пассажи) сохраняются лишь 20—30 дней, а затем гибнут; 2) диплоидные штаммы, получаемые в особых условиях из эмбриональных тканей человека и животных; их характерная черта — стабильность биологических свойств, в частности постоянство диплоидного набора хромосом; клетки сохраняются без изменения в течение 10—12 мес (до 50 пассажей); 3) перевиваемые (стабильные) линии, полностью адаптированные к существованию вне организма; их получают из нормальных и раковых тканей; размножаются неограниченно долгое время.
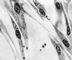
Клетки разных культур морфологически отличаются друг от друга (рис. 2, А и Б). В первичных культурах в зависимости от происхождения различают фибробластоподобные и эпителиоподобные клетки (рис. 2, В и Г). Клеточные культуры — прекрасный объект для изучения действия на клетку физических, химических и биологических факторов. Особенно велико их значение в вирусологии: отдельные группы вирусов вызывают в культурах клеток специфический повреждающий эффект, поэтому клеточные культуры используют для диагностики вирусов. Кроме того, они являются субстратом для получения живых противовирусных вакцин. На К. т. возможно изучение ряда общебиологических вопросов: взаимоотношения клеток и тканей, дифференцировка клеток, закономерности митоза, превращение нормальной клетки в раковую и т. д. Культуры органов широко используются при изучении закономерностей развития зачатков в норме и при экспериментально измененных условиях, при совместном культивировании органов от животных разного возраста, вида и т. п.
Лит.: Пол Д., Культура клеток и ткани, пер. с англ., М., 1963; Залкинд С. Я., Жизнь в пробирке, М., 1967; Cells and tissues in culture, ed. E. N. Willmer, v. 1, L.— N. Y., 1965.
С. Я. Залкинд.

Рис. 2г. Эпителиоподобные клетки в культуре ткани.

Рис. 2а. Первичная культура почечной ткани обезьяны Масаса rhesus (общий вид).

Рис. 2б. Культура перевиваемой линии НЕр-2 (общий вид);

Рис. 2в. Фибробластоподобные клетки в культуре ткани.

Рис. 1. Культура органа на «плоте» из сетчатой ткани: а — подготовка эксплантанта, б — перемещение культуры на часовое стекло.